Se pun semafoare în faţa fostului post de poliţie de la ieşirea din Iaşi prin Păcurari. Întoarceri la 180 de grade
Circulaţia rutieră între capăt Păcurari şi rondul ERA va suferi o modificare importantă. În zona fostului post de Poliţie va fi amenajată o intersecţie semaforizată pentru a reduce din presiunea asupra rondului. Principalul avantaj al unei astfel de măsuri este, conform iniţiatorilor, că va permite locuitorilor din Valea Lupului să întoarcă spre municipiul Iaşi fără a mai intra în rondul ERA.
Imaginea ilustrează translatarea sensului giratoriu din rond ERA (Clik pe imagine pentru mai multe detalii)
Suplimentar, în zona intersecţiei semaforizate, carosabilul va fi supralărgit cu o bandă de întoarcere. Întreaga lucrare va fi finanţată de Prime Kapital, investitor care are în plan extinderea centrului comercial ERA: săptămâna viitoare, Consiliul Local (CL) va aproba un parteneriat în acest sens, la propunerea companiei private.
În ce vor consta lucrările
Principalul scop al lucrării este de a fluidiza circulaţia în zona rondului ERA, reducând din numărul de maşini care intră în sensul giratoriu dinspre Valea Lupului, pe direcţia Iaşi: conform analizei făcute de specialişti, în cadrul documentaţiei pentru modificarea propusă, acest aflux de maşini duce la numeroase blocaje în rond.

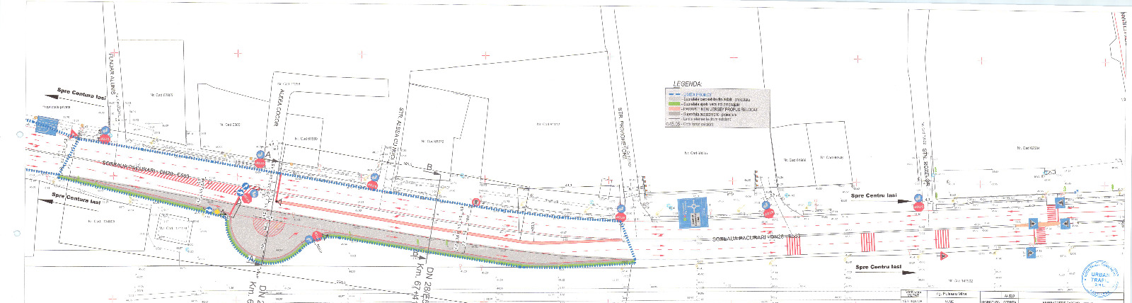
Imaginea arată intersecția semaforizată din zona fostului post de Poliție: în partea de jos este evidențiată supralărgirea carosabilului astfel încât să poate fi creată banda de întoarcere spre Iași (Clik pe imagine pentru mai multe detalii)
Înainte de intersecţia semaforizată proiectată, patru străzi din Valea Lupului coboară la drumul european: Prof. Ioan Petru Culianu, Rozelor, Privighetorii şi Aleea cu Nuci. „În urma analizei situaţiei existente, a rezultat necesitatea de a amenaja o zonă semaforizată de întoarcere la 180 de grade”, se arată în proiectul tehnic. Semafoarele vor fi amplasate la jumătatea distanţei dintre zona intersecţiei şos. Păcurari – str. Prof. Culianu şi rondul ERA, în zona fostului post de Poliţie, conform schiţelor ataşate proiectului. „Intervenţiile la nivelul drumului european existent presupun relocarea separatorului de sensuri existent tip parapet New Jersey din axul drumului, lărgirea platformei carosabile pe sensul de mers către Iaşi cu rolul de asigurare a spaţiului necesar pentru întoarcere, adaptarea semnalizării rutiere la noua configuraţie geometrică la noile reglementări de trafic”, sunt principalele lucrări care vor avea loc în această zonă. Potrivit proiectului tehnic, relocarea (parţială) a parapetului New Jersey este necesară astfel încât să poată fi realizată banda de întoarcere pe direcţia Iaşi.
(Clik pe imagine pentru mai multe detalii)
„Separaţia dintre zona de întoarcere şi DN28 se va face cu o pastilă amenajată cu marcaj, având raza interioară de 6,4 m şi lungimea de 12,8 m, iar raza exterioară a zonei de întoarcere de 15,4 m, rezultând o cale de circulaţie cu lăţimea de 9 m. Pentru racordarea zonei de întoarcere la DN28 se vor amenaja pe o lungime de 230 m două benzi de circulaţie (aşa cum este amenajat şi DN28 astăzi), o bandă cu lăţimea de 3,5 m şi o bandă cu lăţimea de 4,2 m”, se precizează în proiect. Conform documentaţiei, raza de racordare a zonei de întoarcere cu DN28 va fi de 20 m.
(Clik pe imagine pentru mai multe detalii)
„Se va semaforiza intersecţia zonei de întoarcere şi se vor reface marcajele. Sistematizarea platformelor proiectate se va reface, iar scurgerea şi colectarea apelor va fi asigurată prin amenajarea de pante ce vor dirija apele meteorice către elemente de colectare punctuale”, se mai arată în proiect. Lucrările vizează şi unele intervenţii asupra rondului, dar de ordin tehnic, respectiv o reconfigurare a circulaţiei „prin translatarea sensului giratoriu astfel încât să fie realizată o fludizare a traficului cu impact pe timpii de aşteptare”.
Costurile vor fi suportate de investitorul privat
Lucrarea are la bază un parteneriat între Prime Kapital (iniţiatorul extinderii centrului comercial ERA) şi Primăria Iaşi, acord care va fi aprobat săptămâna viitoare de către consilierii locali. Investitorul a suportat deja cheltuielile privind întocmirea documentaţiei tehnice, iar costurile privind lucrarea vor fi asigurate tot de acesta. În acelaşi timp, investitorul a obţinut toate avizele necesare, încheierea protocolului fiind ultimul pas înainte de obţinerea autorizaţiei de construire. Astfel, nu este exclus ca modificările de circulaţie să intre în vigoare până la sfârşitul anului.
(Clik pe imagine pentru mai multe detalii)
După finalizarea lucrărilor, Prime Kapital va ceda investiţia, cu titlu gratuit, către Primăria Iaşi pentru exploatare. Conform iniţiatorilor, principalele argumente în favoarea investiţiei sunt: asigurarea unui sistem de transport durabil, fludizarea traficului rutier în zonă, scăderea timpilor de deplasare şi creşterea nivelului de siguranţă rutieră prin amenajarea intersecţiei semaforizate cu punct de întoarcere.
Publicitate și alte recomandări video



